Listing provided courtesy of Steve Welty of Steve Welty & Associates. Last updated . Listing information © 2025 SANDICOR.
Asking Price: $325,000
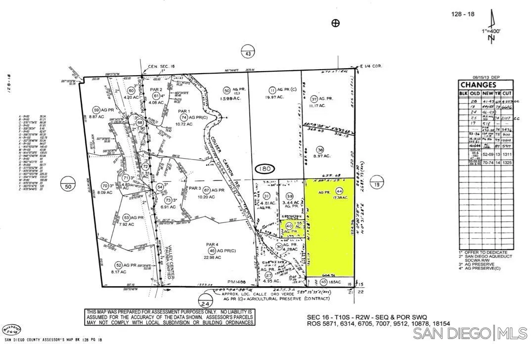
Courser Canyon Road, Valley Center CA 92082
Community: Lilac
This Lot property was built in and is priced at $325,000. Please see the additional details below.
Don’t miss this exceptional opportunity to own two contiguous parcels totaling approximately 18.93 acres on Couser Canyon Rd in Valley Center, CA 92082 — APNs 128-180-40 and 128-180-44. This beautiful property features gently rolling terrain, panoramic views, and approximately 600 trees in various stages of development, creating a lush and vibrant natural setting. With water and electricity already available on-site, the groundwork is in place for your vision to take shape. Surrounded by custom estates, groves, and the peaceful charm of rural North San Diego County, this offering delivers both privacy and accessibility, just minutes from Lilac Road and the heart of Valley Center. ****No soils reports, surveys, etc., have been done. Buyer and buyer's agent to verify all information with the city or county for allowable uses and requirements and rely on their own investigations. **Buyer responsible for checking zoning, utilities, permits and exact property boundaries. ****






