Listing provided courtesy of Richard Khatibi of Rich Estate Props. Last updated . Listing information © 2025 SANDICOR.
Asking Price: $388,888
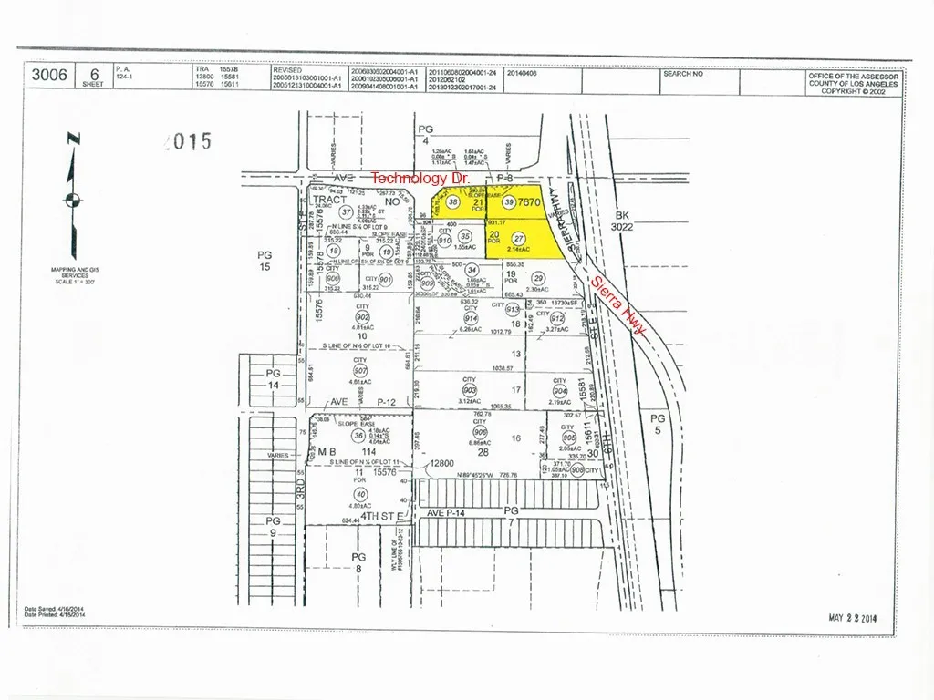
Corner of Sierra Hwy / P8 (Technology Dr.), Palmdale CA 93550
Community: 
This Lot property was built in  and is priced at $388,888. Please see the additional details below. 
2.14+/-Acre SW corner of Sierra Hwy. and paved Ave. P-8 (Technology Drive), Zoning is Plan Development Industrial property (PDM1) All utilities in the Street. It is just across the street from Palmdale's new transportation center. Fwy. 14 just 1/2 mile to the west. Trade & Commerce Center just west of Fwy. 14. Winnell Industrial center 300' north of the subject property. The Palmdale Air Terminal is just 3.5 miles to the east. Palmdale carries the nickname of "aerospace capital of the United States", which has been the home for research, development, and testing of several important aircraft. Palmdale is home to Lockheed Martin, Boeing, NASA, Northrup Grumman, and Air Force Plant 42. Several other manufacturing users have relocated to Palmdale seeking cheaper land alternatives to Los Angeles as well as to take advantage of various tax incentives. This movement, along with the continued growth of the residential population solidifies Palmdale as an attractive long-term investment. You may google the following GPS coordinates to locate the property: 34.594299 -118.120990









