Listing provided courtesy of Karmen Mastin of Big Valley Real Estate. Last updated . Listing information © 2025 SANDICOR.
Asking Price: $325,000
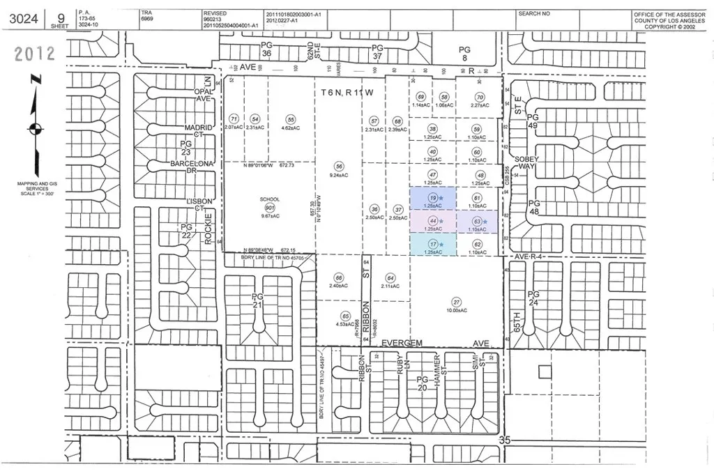
65th St East near Ave R-4, Palmdale CA 93553
Community:
This Lot property was built in and is priced at $325,000. Please see the additional details below.
A builder's bundle! Four contiguous parcels totaling just under 5 acres in a prime East Palmdale location within walking distance of schools and park. Paved street frontage with water and electricity along 65th Street, sewer in the street at Ave R-4, and nice existing homes all around. A great opportunity with the potential to build one home, four homes - or subdivide for more! Zoned Single-Family Residential 3 (SFR 3), intended for detached single-family subdivisions containing the City's standard 7,000 square foot minimum lot size (at a maximum of six dwelling units per acre). Check with the City of Palmdale Planning Department for more information on possible uses for these parcels. Includes APNs 3024-009-017, 3024-009-019, 3024-009-044 and 3024-009-063. Package priced for a cash sale. Fantastic potential in a great location! *Buyer to make their own independent investigations regarding Zoning & General Plan Designations, Environmental & Hazard Zones, Access & Development Costs, Availability & Costs of Utilities.





































