Listing provided courtesy of Jeffrey Nyal of Coldwell Banker Home Source. Last updated . Listing information © 2025 SANDICOR.
Asking Price: $299,990
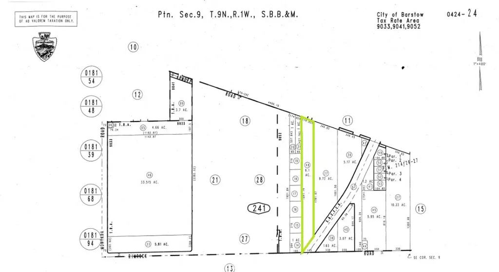
42424148 Armory, Barstow CA 92311
Community:
This Lot property was built in and is priced at $299,990. Please see the additional details below.
***Come VIEW and MAKE an OFFER TODAY! Amazing INDUSTRIAL LAND OPPORTUNITY located in EXPANDING BARSTOW, CA. The LARGE 6.1 ACRE PARCEL is positioned on the east end of town, just a stones throw from I-40 and about 2 blocks from the E Main St/Montara Rd exit. Plus the I-15/I-40 INTERCHANGE is nearby, offering amazing accessibility to pretty much all of Southern CA. The " I " zoning allows for tons of INDUSTRIAL/MANUFACTURING POSSIBILITIES, making the site ideal for any one looking to start or expand their business. With recent news about the 4,500 ACRE, $1.5 Billion, BNSF - Barstow International Gateway (BIG) coming to the area, DEMAND for Barstow real estate has begun to skyrocket. The BNSF Facility will be the first of its kind in North America, and it's estimated this massive development will create upwards of 20,000 JOBS. With such an influx of population and INDUSTRIAL ACTIVITY coming, one can predict additional services will be needed to support the growing TRUCKING, RAILWAY, and other LOGISTICAL OPERATIONS. A definite MUST SEE OPPORTUNITY worthy of serious consideration before it's too late.***
























