Listing provided courtesy of ERIC WASHLE of COLDWELL BANKER COMMERCIAL SC. Last updated . Listing information © 2025 SANDICOR.
Asking Price: $2,200,000
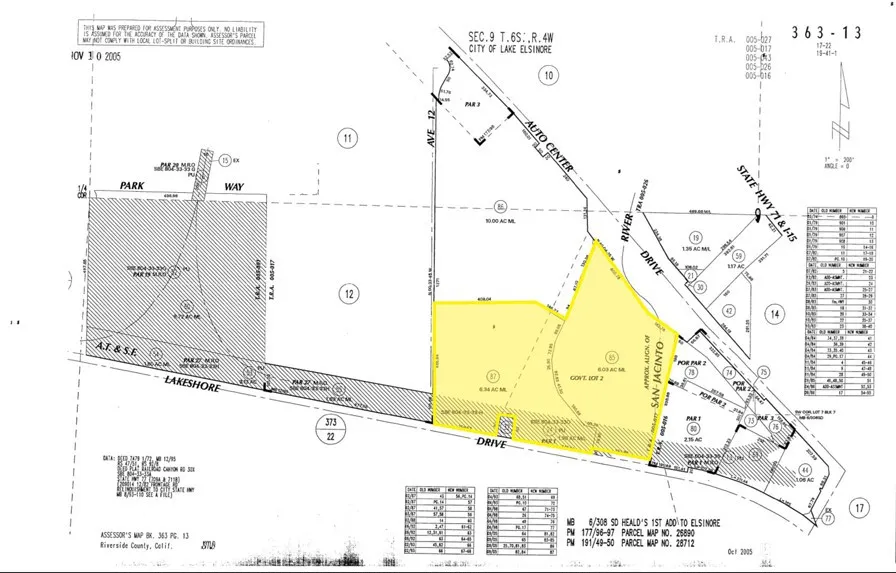
Lakeshore Drive, Lake Elsinore CA 92530
Community:
This Lot property was built in and is priced at $2,200,000. Please see the additional details below.
The subject property is approximately 12.37 acres in size and consists of two separate parcels known as Parcel A & Parcel B. There is currently a conservation agreement in place which renders the majority of Parcel A as undevelopable although there is still potential for mitigation value on Parcel A. Parcel B has approximately 650 feet of frontage along Lakeshore Dr which is broken up by a small EVMWD Pump Station. The property is relatively flat in topography and slopes toward the creek on the west end of the property which flows into the Lake Elsinore Channel. There are existing utility lines running along the south end of the property with both sewer and water existing in Lakeshore Dr. The property is located on Lakeshore Dr with traffic counts of 14,221 Cars Per Day. The site is also located just 0.4 miles from I-15 at Diamond Dr with prominent visibility from both I-15 northbound and southbound traffic, just 0.6 miles from Diamond Stadium, and within walking distance to multiple restaurants and retail shops.












