Listing provided courtesy of Connie De La Rosa of Coldwell Banker Envision. Last updated . Listing information © 2025 SANDICOR.
Asking Price: $40,000
17449 Sunnyslope, Lake Elsinore CA 92530
Community:
This Lot property was built in and is priced at $40,000. Please see the additional details below.
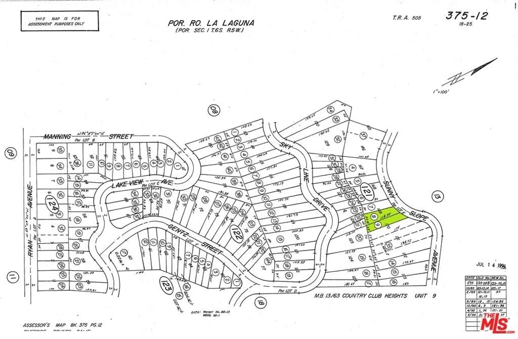
Two Lake View Lots in Country Club Heights! Excellent investment to hold or perfect to build Custom Home. Offering includes APN's 375-121-008 & 375-121-009 with a combined area is 5,227 sqft (per assessor). No reports, survey available. Great location in the hills overlooking the fresh water lake and the magnificent Ortega Mountains. Great fishing and boating is just down the road! Minutes to four-corners-Riverside Dr (Hwy 74), & Lakeshore Dr, a major Northeast corner in Lake Elsinore. Close to shopping at Historic Main Street where you can enjoy quaint shops and dining. The Land is close to Lake Elsinore Outlets, commercial shopping & industrial shops. Just minutes to the I-15 for easy commute. Lake Elsinore is one of the fastest growing Cities in Southern California. Address is for reference only, not assigned by city. Buyer to verify all information and rely on their own investigation as to location, zoning, uses, utilities, sewer, city building requirements etc.









