Listing provided courtesy of Nicholas DiCosola of Coldwell Banker Commercial Rea. Last updated . Listing information © 2025 SANDICOR.
Asking Price: $9,450,000
Cajon Blvd, San Bernardino CA 92407
Community: Cajon, Devore
This Lot property was built in and is priced at $9,450,000. Please see the additional details below.
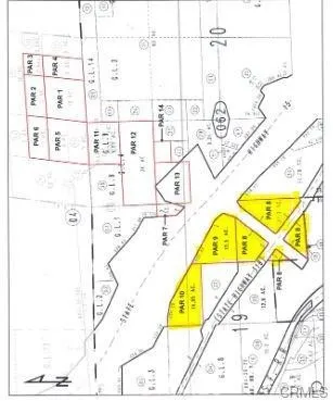
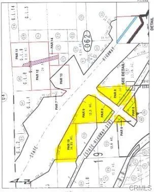
Discover a prime investment opportunity with over 54 acres of strategically located land nestled between the 15 Freeway and Cajon Boulevard in San Bernardino, California. Offering exceptional accessibility and visibility, this expansive property is ideal for a wide range of developments, including logistics, commercial, or industrial projects. With its proximity to major transportation corridors, including the Cajon Pass, and the vibrant Inland Empire region, this land presents unparalleled potential for growth and connectivity. Whether you're looking to expand your portfolio or develop a game-changing project, this prime location offers a rare blend of opportunity and versatility. Total of 54 acres on Westside of the I-15 fwy***ONLY*** APN 0349-041-56-0000: Parcels 10 (14.95 ac), Parcel 9 (12.5 acres) & Parcel 8 (27.3 acres) only included in sale. See Plat Map Photo. Terms Available.








